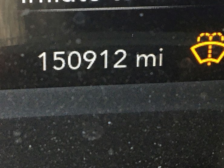
3.6L V6 Gas, Automatic, S/N: 2C4RC1BG9HR527454. 150912 Miles Indicated. NOTE: This vehicle did not pass the state required Smog Test. This vehicle is being sold pursuant to Vehicle Code 24007.5, Subdivision (a) Paragraph (2) and is available to licensed California dealers/dismantlers and/or sold and transported out of the state or out of the country. The Buyer certifies to Vantage Auctions that he/she can legally purchase this lot as a California licensed dealer/dismantler or is transporting the lot out of the state or out of the country.

2017 CHRYSLER PACIFICA

Bid Online

Lot #644

Item #
96993078
Year
2017
Make
CHRYSLER
Model
PACIFICA
Mileage
150912
VIN
2C4RC1BG9HR527454
Year
2017
Transmission
Automatic
Blade
S
Auction Resource